モルディブ2009エリヤドゥ:スノーケル
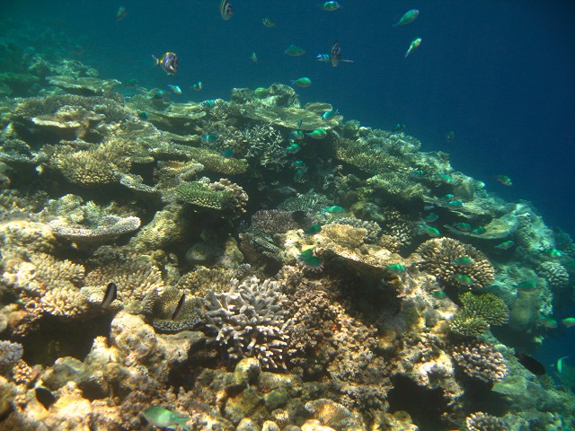
ドロップオフはテーブル珊瑚がサルノコシカケのように続いています
モルディブ2009:エリヤドゥ ハウスリーフの様子
|
前の写真
|
次の写真